
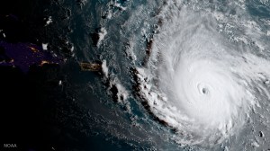
ST. JOHN’S, Antigua (AP) — The most powerful Atlantic Ocean hurricane in recorded history bore down on the islands of the northeast Caribbean on Tuesday night, following a path predicted to then rake Puerto Rico, the Dominican Republic, Haiti and Cuba before possibly heading for Florida over the weekend.
At the far northeastern edge of the Caribbean, authorities on the Leeward Islands of Antigua and Barbuda cut power and urged residents to shelter indoors as they braced for Hurricane Irma’s first contact with land early Wednesday. Officials warned people to seek protection from Irma’s “onslaught” in a statement that closed with: “May God protect us all.”
The Category 5 storm had maximum sustained winds of 185 mph (295 kph) by early Tuesday evening, according to the U.S. National Hurricane Center in Miami.
“I hear it’s a Cat 5 now and I’m terrified,” Antigua resident Carol Joseph said as she finished her last trip to the supermarket before seeking shelter. “I had to come back for more batteries because I don’t know how long the current will be off.”
Other islands in the path of the storm included the U.S. and British Virgin Islands and Anguilla, a small, low-lying British island territory of about 15,000 people.
U.S. President Donald Trump declared emergencies in Florida, Puerto Rico and the U.S. Virgin Islands.
Warm water is fuel for hurricanes and Irma is over water that is 1.8 degrees (1 degree Celsius) warmer than normal. The 79 degree (26 Celsius) water that hurricanes need goes about 250 feet deep (80 meters), said Jeff Masters, meteorology director of the private forecasting service Weather Underground
Four other storms have had winds as strong in the overall Atlantic region but they were in the Caribbean Sea or the Gulf of Mexico, which are usually home to warmer waters that fuel cyclones. Hurricane Allen hit 190 mph in 1980, while 2005’s Wilma, 1988’s Gilbert and a 1935 great Florida Key storm all had 185 mph winds.
The storm’s eye was expected to pass about 50 miles (80 kilometers) from Puerto Rico late Wednesday. Hurricane-force winds extended outward up to 60 miles (95 kilometers) from Irma’s center and tropical storm-force winds extended outward up to 175 miles (280 kilometers).
The Northern Leeward Islands were expected to see waves as high as 11 feet, while the Turks and Caicos Islands and southeastern Bahamas could see towering 20-foot waves later in the week, forecasters said.
“This is not an opportunity to go outside and try to have fun with a hurricane,” U.S. Virgin Islands Gov. Kenneth Mapp warned. “It’s not time to get on a surfboard.”
The National Weather Service said Puerto Rico had not seen a hurricane of Irma’s magnitude since Hurricane San Felipe in 1928, which killed a total of 2,748 people in Guadeloupe, Puerto Rico and Florida.
“The dangerousness of this event is like nothing we’ve ever seen,” Puerto Rico Gov. Ricardo Rossello said. “A lot of infrastructure won’t be able to withstand this kind of force.”
The director of the island’s power company has warned that storm damage could leave some areas without electricity for about a week and other, unspecified areas for four to six months. The utility’s infrastructure has deteriorated greatly during a decade-long recession, and Puerto Ricans experienced an island-wide outage last year.
Government officials began evacuations and urged people to finalize all preparations as store shelves emptied out around Puerto Rico.
“The decisions that we make in the next couple of hours can make the difference between life and death,” Rossello said. “This is an extremely dangerous storm.”
No directly storm-related deaths were reported by Tuesday evening but a 75-year-old man died in the central Puerto Rico mountain town of Orocovis after he fell from a ladder while preparing for the hurricane, police said.
The eye of the storm was expected to roar westward on a path taking it north of millions of people in Puerto Rico, the Dominican Republic, Haiti and Cuba, but meteorologists warned that it could still cause life-threating storm surges, rains and mudslides.
The northern parts of the Dominican Republic and Haiti could see 10 inches of rain, with as much as 20 inches in the southeast Bahamas and Turks and Caicos.
The storm seemed almost certain to hit the United States by early next week.
“You’d be hard pressed to find any model that doesn’t have some impact on Florida.” said University of Miami senior hurricane researcher Brian McNoldy.
In Florida, people also stocked up on drinking water and other supplies.
Gov. Rick Scott activated 100 members of the Florida National Guard to be deployed across the state, and 7,000 National Guard members were to report for duty Friday when the storm could be approaching the area. On Monday, Scott declared a state of emergency in all of Florida’s 67 counties.
Officials in the Florida Keys geared up to get tourists and residents out of Irma’s path, and the mayor of Miami-Dade county said people should be prepared to evacuate Miami Beach and most of the county’s coastal areas.
Mayor Carlos Gimenez said the voluntary evacuations could begin as soon as Wednesday evening. He activated the emergency operation center and urged residents to have three days’ worth of food and water.
A new tropical storm also formed in the Atlantic on Tuesday, to the east of Irma. The hurricane center said Tropical Storm Jose was about 1,400 miles (2,255 kilometers) east of the Lesser Antilles with maximum sustained winds of 45 mph (75 kph). It was moving west-northwest at 12 mph (19 kph) and was expected to become a hurricane by Friday.
Meanwhile, a tropical depression formed in the southwestern Gulf of Mexico off the coast of Mexico. The hurricane center said the system could become a tropical storm while meandering in the Gulf for several days before making landfall in Mexico on Saturday.
___
Associated Press writer Anita Kentish reported this story in Antigua and AP writer Danica Coto reported from San Juan, Puerto Rico. AP writers Seth Borenstein in Washington, Michael Weissenstein in Havana, Cuba and Ben Fox in Miami contributed to this report.



